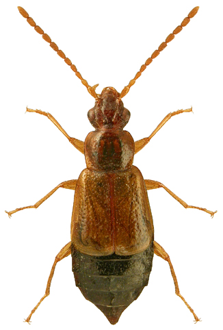
1340. Anthophagus omalinus arrowi Koch, 1933

Rodzaj
Rodzina
Lista rodzin
Lista rodzajów
Lista gatunków
Piśmiennictwo
Wstęp
Początek