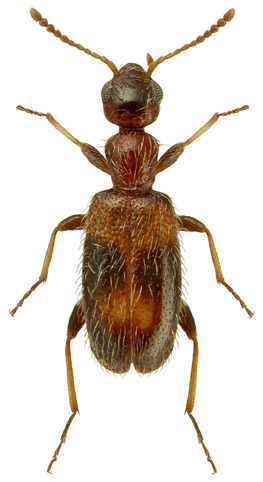
–. Anthicus crinitus LaFerté-Sénectère, 1894

Rodzaj
Rodzina
Lista rodzin
Lista rodzajów
Lista gatunków
Piśmiennictwo
Wstęp
Początek