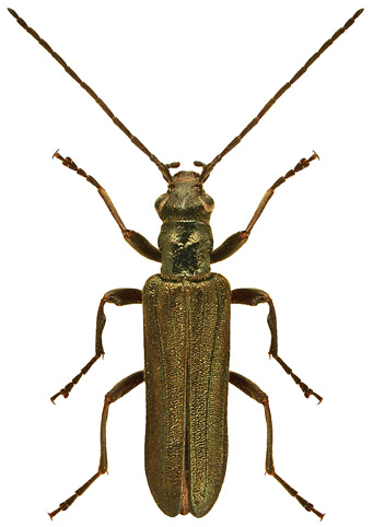
3856. Anogcodes fulvicollis (Scopoli, 1763)

samiec

Rodzaj
Rodzina
Lista rodzin
Lista rodzajów
Lista gatunków
Piśmiennictwo
Wstęp
Początek