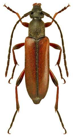
4061. Alosterna tabacicolor (DeGeer, 1775)

Rodzaj
Rodzina
Lista rodzin
Lista rodzajów
Lista gatunków
Piśmiennictwo
Wstęp
Początek