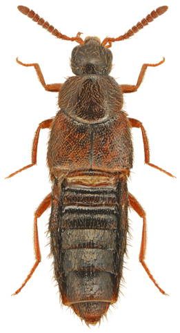
2387. Aleochara sanguinea (Linnaeus, 1758)


Rodzaj
Rodzina
Lista rodzin
Lista rodzajów
Lista gatunków
Piśmiennictwo
Wstęp
Początek