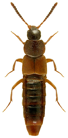
2391. Aleochara erythroptera Gravenhorst, 1806

Rodzaj
Rodzina
Lista rodzin
Lista rodzajów
Lista gatunków
Piśmiennictwo
Wstęp
Początek