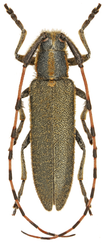
–. Agapanthia dahli (Richter, 1820)

samiec

Rodzaj
Rodzina
Lista rodzin
Lista rodzajów
Lista gatunków
Piśmiennictwo
Wstęp
Początek