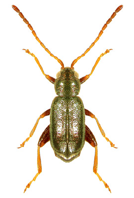
Phyllotreta peyerimhoffi Heikertinger, 1941

(female)

 

Distr.: Egypt, Israel, Jordan, Saudi Arabia.

Genus page
List of subfamilies
List of genera
List of species
References