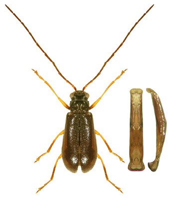
Luperus apollinis Apfelbeck, 1912

(from left - male, penis dorsal, penis lateral)

 

Distr.: Greece: Karpenisiom Mts.

Genus page
List of subfamilies
List of genera
List of species
References