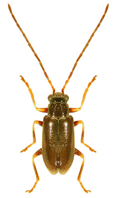
Luperus alpinus Desbrochers, 1898

(male)

 

Luperus alpicus [sic!] Desbrochers, 1898: 46.

Distr.: Pyrenees, Alps, Dinaric Alps.

Genus page
List of subfamilies
List of genera
List of species
References