Heyrovskya wollastoni (Lindberg, 1951)
![]()
(ab. atroviridescens, from left - male, penis dorsal, penis lateral)
![]()
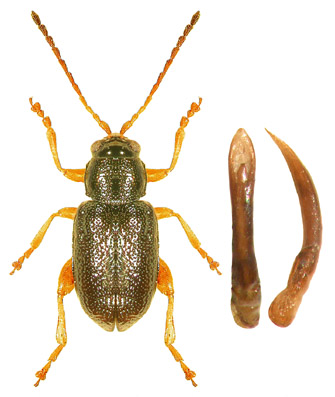
(typical form, from left - male, penis dorsal, penis lateral)
Aphthona wollastoni Lindberg, 1951: 15.
Aphthona atroviridescens Lindberg, 1950: 15.
Distr.: wollastoni: Tenerife, Santa Ursula; atroviridescens: Tenerife, Puerto de S. Juan. Canary Is.: Fuerteventura, Gomera, Gran Canaria, Hierro, Tenerife.
Genus
page
List of subfamilies
List of genera
List of species
References