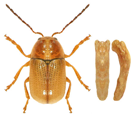
Cryptocephalus dahdah Marseul, 1869

(from left - male, penis dorsal, penis lateral)

 

Cryptocephalus dahdah Marseul, 1869: 269.

Distr.: Lebanon, Israel, Jordan.

Genus page
List of subfamilies
List of genera
List of species
References