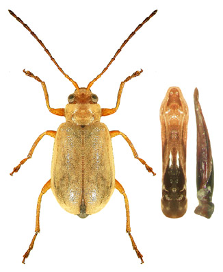
Calomicrus wollastoni Paiva, 1861

(form left - male, penis dorsal, penis lateral)

 

Calomicrus wollastoni Paiva, 1861: 210.

Distr.: Canary Is.

Genus page
List of subfamilies
List of genera
List of species
References