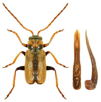
Calomicrus suturalis (Joannis, 1866)

(from left - male, penis dorsal, penis lateral)

 

Distr.: Spain, Portugal, Morocco.

Genus page
List of subfamilies
List of genera
List of species
References