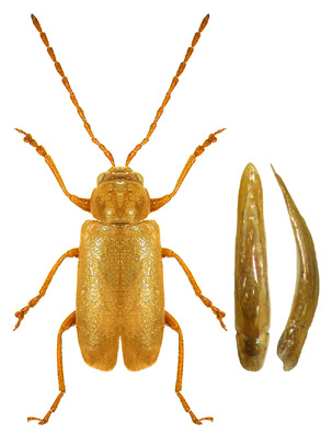
Calomicrus setulosus (Weise, 1886)

(from left - male, penis dorsal, penis lateral)

 

Luperus setulosus Weise, 1886: 592.

Distr.: Algeria.

Genus page
List of subfamilies
List of genera
List of species
References