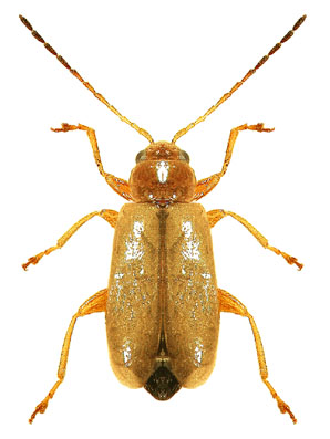
Calomicrus malkini Warchałowski, 1991

(female)

 

Calomicrus malkini Warchałowski, 1991: 49.

Distr.: Turkey: Antalya.

Genus page
List of subfamilies
List of genera
List of species
References