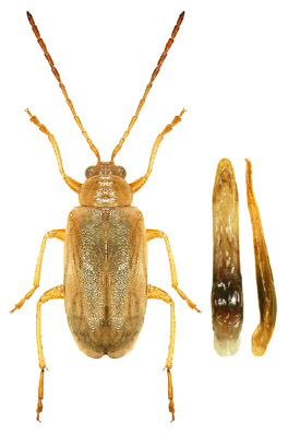
Calomicrus bispiniger Israelson, 1968

(from left - male, penis dorsal, penis lateral)

 

Distr.: Canary Is.: La Palma.

Genus page
List of subfamilies
List of genera
List of species
References